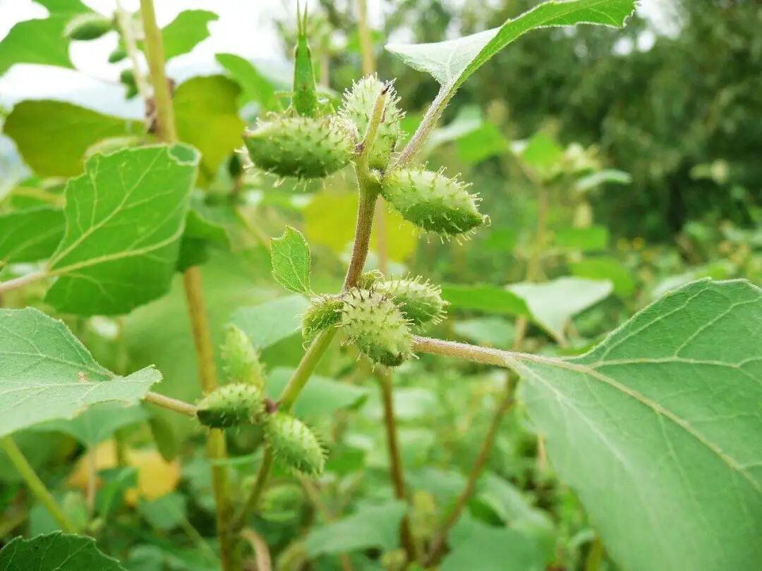
农村随处可见的苍耳,在农民眼中被称为毒瘤,却不知它全身是宝


农村人眼中的毒瘤苍耳确实是上班族的福音,很少有人知道它的作用。今天就带大家一起了解一下苍耳叶。

农村遍地都是草,最不缺的就是宝。今天我带朋友们来认识一种农村珍奇的植物,好多人还没见过。在以前的农村生活物质不是很发达,很多女孩子的头发就会长虱子,这个时候老人就会摘几片苍耳叶拿来煮水给她们洗头发,它可以有效的祛除头上的虱子。
不仅如此,用苍耳煮水泡脚比去按摩店还要舒服。拿来洗头发就像天然的护发素。在户外游玩不小心被蚊虫叮咬到了,大家也不要担心,可以采一些苍耳叶在手掌心里面搓一搓。
其次它的叶子以及茎皮可以用来制作我们生活当中常见的麻袋、麻绳儿,它的种子晒干以后,还可以拿来榨油,不仅可以作为油漆的原材料,还能制作肥皂。

苍耳经过工厂专业加工炮制之后还能入药,在《日华子本草》和《本草拾遗》这两本药集当中,就有记载着苍耳的药用价值,大家感兴趣的可以去了解一下。
最后要说明的是,苍耳这种植物不管是它的全草还是幼苗,它都是有毒的,如果有需要的朋友一定要在医生的叮嘱之下谨慎使用,所以大家在户外遇到的苍耳千万不要误食,特别是一些调皮的小孩子,但是不可否认它的确是一种用途很大的野生植物。

《诗经》里面有言“采采卷耳,不盈倾筐”,说的是苍耳到处都是,一会儿就采了满箩筐,如今在农村却很少见这种植物啦。而且它目前在市场上面的身价可不菲,一公斤能卖到30元,聪明的人已经嗅到了商机,你们那边还能看到这种植物吗?
朋友们,在你们的家乡有这种植物吗?你还知道它的别的价值与作用吗?欢迎大家在留言区留言分享,如果你也喜欢农村植物知识,记得关注我,每天为您分享。为我点个赞,点个再看就是对我莫大的支持,感恩有你。
到顶部