海洋有多深?海洋最深处隐藏着什么?



地球是一颗美丽的蓝色星球,其中70%的表面被海洋覆盖。
早在500多年前,探险家们就已经开始制作航海图来显示海洋的宽度,但要计算海洋深度就要困难得多了。
如果要测量一个池塘或湖泊的深度,最简单的方法是,把一个重物绑在一根绳子上,然后把绳子沉到底部,再把绳子拉起来,测量它的湿润部分长度就好了。
1872年,英国海军的挑战者号(HMS Challenger)启航去研究海洋,其中一项任务就是测量海洋的深度。
当时它们就是用这招去测量海洋的,足足携带了291公里的绳索。
挑战者号在海上航行了4年,他们从海洋的许多不同区域收集了岩石、泥土和动物的样本。

他们没有得到一个确切的海洋深度,但是发现了最深海域之一——马里亚纳海沟足足绵延2540公里。
现在,我们知道海洋的平均深度为3.7公里,这个数据是十分准确的,只不过很多地方的深度要浅得多。
我们也不用像以前那样用绳子去测量了,而是声纳,让船发出声音能量脉冲,然后根据声音传回的速度来测量深度,我们只要知道声波在海洋中的传播速度就好了。
海洋的三个区域
海洋根据深度和光照水平分为三个区域。虽然有些海洋生物依靠光生存,但也有一些没有光也能生存。

在适当的条件下,进入水中的阳光大约可以穿透1000米,但在200米以下的地方很少有明显的光线。
200米以上被称为滨海带,在这里植物可以进行光合作用,这个区域包含了绝大多数的商业渔场,同时也是许多受保护的海洋哺乳动物和海龟的家园。
200到1000米之间的区域通常被称为“过渡带”(或中层带),在这个区域,光的强度随着深度的增加而迅速衰减,已经无法进行光合作用。
超过1000米的区域已经完全处在黑暗之中的了,但是这些区域的生物依然活跃。现在发现的海底最深处高级动物是来自马里亚纳海沟的狮子鱼(Pseudoliparis swirei),这些鱼生活在超过8000米的海域。

图为:最深处的生命
海洋最深处的生命
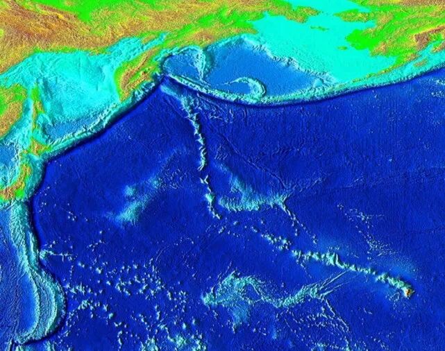
我们地球的外层是由构造板块构成的,一些巨大的可移动岩石和沉积物板块,可以分为大陆板块和海洋板块。
这些板块在移动有一个有力的证据之一,就是夏威夷-皇帝海山链,熔岩从地球深处涌而出,但是由于板块运动,它在不同的地方形成山脉。
与之相反的是火星的奥林帕斯山,因为火星是单一板块,所以火山喷发会形成奥林帕斯山这样的太阳系最高行星山脉,所有熔岩都积累到一起了。

图为:夏威夷-皇帝海山链
当两个构造板块在水下相互远离时,新的物质就会上升到地壳中,这种产生新海底的过程被称为海底扩张。
有时,地球内部的超热流体通过海底的裂缝喷出,这些裂缝被称为热液喷口。
由于这里有地球自身的“温度”,这给生命提供了能量,包括鱼类,贝类,管蠕虫和其他生命形式生活在这些地区。
在海洋板块形成和毁灭的过程中,沉积物聚集在海床上,提供了地球历史、气候演变和生命的档案的信息,这些资料在其它地方都找不到。
所以,对于海洋深处的研究,可以帮助我们了解地球是如何运作的。

最后
我们对海洋的探索其实是非常有限的,因为海底的黑暗、高压等极端环境,海底的探测一直是一项艰巨的任务。
对海洋的了解也只不过九牛一毛,可能至少有90%的海域从未被人类了解过,无数有趣的海洋生命就在那里,等着我们去发现和分类。
到顶部