黄陂,将来北部会比南部更漂亮、更宜居吗?


未来黄陂点击上方蓝字关注我们
01
黄陂开始搞北部木兰大道美丽乡村带了
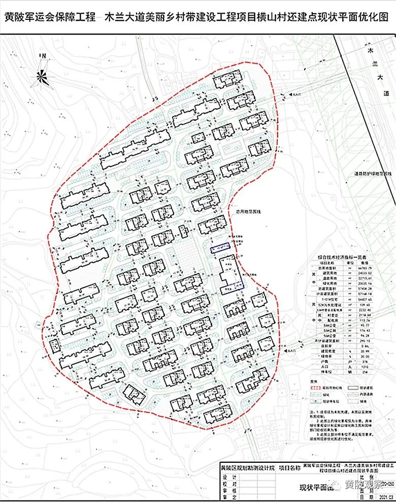
前些天,黄陂开始对木兰大道美丽乡村带(增减挂钩)建设项目进行主体招标,同时,位于罗汉街道横山的美丽乡村带建设工程项目横山村还建点也开始批前公示。
横山还建点位于木兰大道西侧,建设规模为56栋1-3,6层住宅、污水处理站、村委会、公变等。现状总建筑面积57458.28平方米,其中地上计容建筑面积57168.18平方米,总户数378户(户均152平方米),人口1210人,附设停车位258辆。
这个还建点,从小编的角度看,太城市化了一些,个人觉得吧,农村的房子一定要有个院子(这个还建小区的独栋住宅前后都没看到院子,直接对着马路),过去农村的院子养猪喂鸡,新时代农村院子则是种花栽草,没有院子确实是个遗憾,第二个方面小区这个停车位有点少,农村地区,起码一家一个停车位,甚至一家两个都不嫌多(估计那些住户车将来子如果没有地方停放,就会停到房前屋后的草坪上了)

02
这几年,乡村正越来越得到重视
这两年,国家出台了许多扶持和振兴乡村的政策,就小编知道的,比如城市土地出让金中,就有规定50%以上的收入以后将投入到农村和农业中去,具体到黄陂,前不久刚公布了“乡村三年振兴计划”,武汉市也提出了农村“10大”精品产业以及“扮亮小城镇”计划。
由于资金有限,黄陂的美丽乡村建设起步区将沿着木兰大道和长塔公路沿线建设,目的是打造成基础设施完善、公共服务齐全、生态景观优美的美丽乡村发展带。

03
住在农村,但不一定非要种田
乡村,是只能有农业户籍的人居住,还是所有人都可以居住呢?现在的政策是只允许有农村户籍的人口才能拥有宅基地,未来会不会允许所有人,只要愿意,都可以购买宅基地而生活在农村呢?
小编认为这个问题非常重要,黄陂农村现在存在的问题很清楚,人均一亩多地,种田只能保证有口饭吃,要想提高农业人口的收入,除了多承包土地以外,还缺人才和资金(现有的宅基地政策下,大学生很难去农村定居)。
三农方面,小编个人觉得农业、农村和农民并不一定要强求统一(即只有住在农村的农民才可以搞农业),农业将来或许只是一种职业,如同搞IT,跑销售一样,看个人的兴趣和能力,农村将来也不是只能农民居住,只要合乎国家土地规划,任何人都可以在农村买块宅基地建一栋房子生活(住在乡里,开车去城里上班,只要你愿意就行)。

国外美丽的乡村
这种模式下,不想种田的人,可以把自己的土地委托给村集体,然后村集体出租给愿意种田的人承包(即土地还是属于农民,并没有到集中到少数人手中),不想种田的人可以去城里生活,除了赚工资以外,还可以享受土地租金收入。
允许城里人住在乡村,可以解决如今乡下只剩下老人妇女小孩的问题,城里人来了以后,他们消费能力高,会刺激乡下的商业更为兴盛,生意好做了,更多在城里打工的人也愿意回来定居,乡村也就逐渐地繁荣了起来(如果你担心没有消费能力的城里人跑去农村的话,你可以把宅基地卖贵点,比如100个平方的宅基地卖100万)
这其实是个双赢。

04
城里人愿意去乡下生活吗
现在应该不会,20年后或许有可能。
我们还没有跨过发达国家曾经走过的城市化道路阶段,乡下人还热切地向往城市,因为城市里有更高的收入,更便利的生活,更多的商品和更好的服务。
但发展到一定阶段以后,城市里糟糕的交通,浑浊的空气、密集的人群、不算良好的Z安对那些富裕起来的阶层来说变得不可忍受,人们又会怀念乡下清新的空气,友善的邻居,安静的环境起来,未来中产阶级离开市中心去往环境更好的地方是大势所趋,必将发生的事情。

05
黄陂,以后会比三环内更美吗
郊区将来会比城区里环境更好吗?那是肯定的事情,但起码是20年以后。
黄陂北部以后会比南部更好吗?这个不好说,虽然可以靠搞美丽乡村让乡下的房子看起来更好看,但如果不放开人口进入的话,优秀人才进不来,资金也就进不来,没有资金也就不会有很多产业,缺乏产业的话就留不住人,房子建得再漂亮也只是一个空壳而已。
各位觉得农村是否应该放开城里人进入呢,欢迎在文章后留言讨论!
由于微信公众号取消了“读者讨论”功能,小编引入了一个小程序来和大家互动,有想要留言的朋友点击下面“请留言”小程序即可。
请留言
往期推荐
除了文旅城,黄陂也需要广州长隆这样的一个主题乐园!
★★★版权申明★★★
本公众号发表之原创文章、图片和视频等资料,版权均属于黄陂观察公众号管理员所有,任何媒体、网站、个人和团体未经协议授权不得转载、链接、转贴或以其他方式复制发布/发表,违者将依法追究责任


请扫码关注我们
欢迎转发朋友圈和微信群
抖音号搜索:黄陂观察
头条号搜索:黄陂观察
百家号搜索:前川公子
小编微信:namana522
您的一个“分享”,让我们之间的距离又近了一步
到顶部