海面下惊现神秘小洞?美国科学家在探索中大西洋海岭时,在海面下发现了许多神秘的小洞。



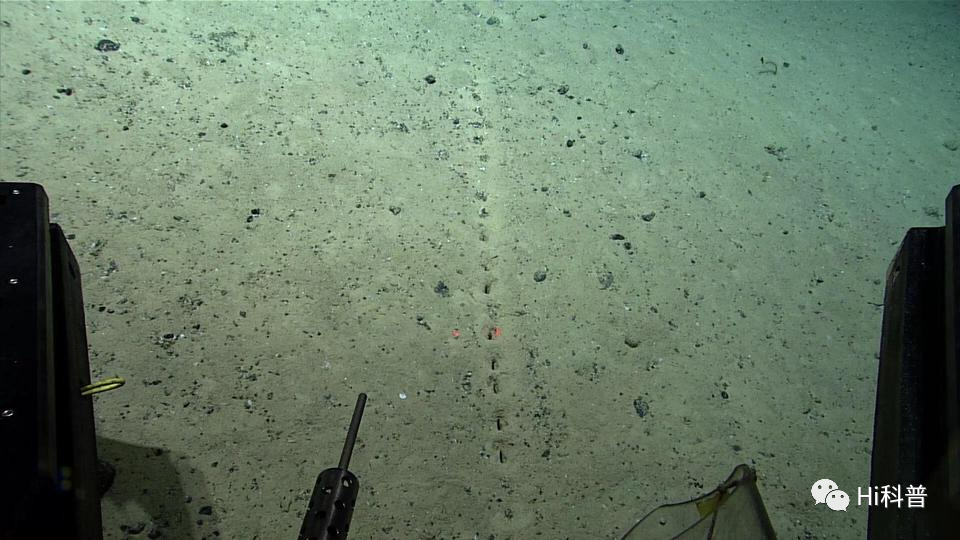
海面下惊现神秘小洞?2022年7月23日,美国科学家在探索中大西洋海岭时,在海面下发现了许多神秘的小洞。这些小洞排列之整齐,让人无法相信是自然形成的。科学家来自美国国家海洋和大气管理局,这些神秘的小洞出现在海面2.5千米一下的大西洋中脊周围的海床上,一共大约有几十排,而且每一排的孔洞都近乎完美地呈现直线式排列。这让科学家们感到非常的诧异和震惊,如此规律的孔洞,究竟是怎么形成的呢?于是科学家们想近距离地去看看这些孔洞里面是什么样子的,以找到更多的线索,然而,由于缺乏工具,只好作罢,只能拍摄一些孔洞的照片带回来分析研究。其实,这也不是美国国家海洋和大气管理局的科学家们第一次发现这种神秘的孔洞了。早在十几年前,2004年,就有科学家在这片海域下的海床上发现过类似的神秘孔洞,当时他们给这些孔洞命名为“labensspurren”,这是一组德语,其意思是“生命留下的痕迹”。在当时,科学家们推测这些神秘孔洞可能是某种生活在海底沉积物中的生物的活动痕迹,但是这么多年过去了,从来没有发现过有什么生物的存在。                                                                                              
                                                                                                       
                                                                                                       
                       于是科学家们现在又认为这些神秘孔洞是不是某个国家或者某个团队用于科学探测的机器所留下的,但是也没有听到相关的报道,所以到底是怎么一回事,现在还不能下结论。对于这些神秘孔洞究竟是什么,网友们也是脑洞大开,发出了各种各样、五花八门的猜想。有网友认为这是“亚特兰蒂斯文明”所留下的痕迹;还有网友认为这是生活在海底的外星人的“杰作”;更有网友调侃说这些孔洞是海底的打孔线被拆开的结果,可能和海底的地壳运动密切相关。这些说法听上去都不太不可靠。“亚特兰蒂斯”文明只是个传说,也只是在古希腊哲学家柏拉图的几本著作中有提到过,虽然有很多人认为它的确存在过,但是目前还没有直接有效的证据证明亚特兰蒂斯文明是真的。至于外星人的说法也同样是如此,确实也有很多科学家提出过海底可能存在外星生命的假想,但同样没有实证证明。这种排列整齐的孔洞也不太像是海底地壳运动的结果,地壳运动不会形成如此整齐的孔洞。另外这些孔洞还没有被海底的沉积物所覆盖,说明形成的时间并不久远,那么古文明的说法就更站不住脚了。既然如此,还是生物留下痕迹的可能性比较大。虽然上文提到了科学家没有发现有什么可疑生物的存在,但是也不排除会有一些比较小的甲壳动物或者是软体动物,它们觅食的时候就会钻出来,钻出来的地方就会留下一个孔洞,不觅食的时候就会藏在泥沙之下,所以也不容易发现。毕竟如此整齐排列的孔洞,太不像自然形成的了。那么大家对此有什么见解呢?


到顶部