深夜禁区上空的巨大发光物,空中阅兵跟踪F117,北约阿维亚诺基地UFO事件


位于意大利东北部区域 TRE VENEZIE(三威尼斯)的阿维亚诺是一个人口众多的城镇,它座落在海拔159米的卡瓦洛山脚下,靠近波代诺内平原。这个城镇还有一个与众不同之处,那就是这里有北约的一个重要的军事基地-阿维亚诺空军基地。
可能正是由于这个原因,这里经常发生一些UFO目击事件。目击者有基地的士兵,也有周边的居民。由于一些事件发生在空中阅兵期间,因此还有一些照片和视频证据。尽管官方给出了各种平淡的解释,但事实真相仍待调查。
“维克多警报”区域上空的UFO
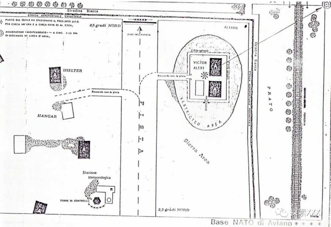
1977年6月30日,由于基地要为下周日(即7月3日)举行的空中阅兵进行最后的准备工作,阿维亚诺基地上空禁止一切空中交通。事件发生在6月30日到7月1日的夜间。美国士兵詹姆斯·布雷克于7月1日星期五凌晨3点左右注意到,在预留的机场区域上方,准确地说是在名为“维克托警报”的区域上方,有一团非常大的“光”。这团光静止在离地面大约100米处。

在基地指挥官得知消息后,第一批安全分队被紧急派往现场。此外,由于空中管制而临时放假的基地雷达操作员也被立即召回。应该还要提到的是,基地的雷达后来确实记录了UFO在基地上方出现的信息,但由于整个机场的仪器在一定时间内都停止工作了,因此可以推测控制塔内的人员无法第一时间发现这一异常现象。然而许多人用肉眼看到了这个物体。大量军事人员在警报响起后立即赶到现场观察,一支紧急部队也被被部署在了安全距离之外。
这个UFO直径约为50米,看起来像一个“陀螺”或“圆盘”,上面有一个圆顶,正在自转,并发出不同颜色的光,从白色变成绿色再变成红色。它发出的光十分明亮,以至于整个维克托警报区域被照亮。此外,物体还发出了嗡嗡声,就像一群蜜蜂在飞行。
这个“圆盘”在所谓的“维克托警报”区域的正上方,距离地面不超过100米。维克托警报是整个基地警戒最严格的地方,而这个物体在那里停留了大约一个小时。
北约位于布鲁塞尔的总部是否知道此事?
随后有消息人士明确表示,位于布鲁塞尔的北约总部在当晚便获悉了此事。然而这一说法在官方层面始终没有得到证实。不过最终官方似乎就当晚事件发表了以下官方声明:“这种现象必须归因于月亮在一些低云层上的反射。”
但是,如果事件发生地当天的实际气象数据如下:
1、温度:最高26°C 最低15°C
2、风力:适中,来自西方
3、天空:少云
4、湿度:约75%。
由最低温度(15°C)与湿度(75%)可以判断,当晚在事件发生区域无法形成高度不超过100米的云层。至于月亮,必须提到的是从7月1日早上3点左右到4点半左右,它已经低于地平线(远离西方)并且正在下降。因此在事件发生时,它不能几乎垂直于观察者上方!从所有这些可以得到的信息判断,官方声明是不成立的。
进一步的调查
随着调查的进一步深入,调查人员了解到了一些有关该事件的边际报道。根据这些报道,可以确定的是,当晚有一种无法解释的空中现象影响了阿维亚诺的北约基地。调查人员找到了一些目击证人,这些证人与基地毫无关系。
“独立证人”贝尼托·曼弗尔先生生于1940年,是一名值班的守夜人。事发时,他住在阿维亚诺的一个小村庄。在1977年6月30日的晚上,他下班了,因此在家里。那天半夜,尽管他睡得很沉,但还是被他那只比利时牧羊犬所发出的强烈、持久、狂怒的吠声惊醒了。以下是曼弗尔先生的证词:
它叫得那么凶,让我觉得有人在路上,也许是小偷。所以,为了以防万一,我没有打开门。我带着手枪,走到我一楼公寓的阳台上。我注意到的第一件事是北约基地的机场,不超过1.5公里远。就像乌鸦从我所在的地方飞过一样,一片漆黑。
除此之外,路上一个人也没有。我以前从来没有看到过完全没有灯光的基地,但特别引起我注意的是在基地本身的某个地方出现了一团静止的光。

当证人画草图时,他把他所观察到的发光“现象”放在机场的那个区域上方,而这个区域实际上正好与被称为“维克多警戒”的严格保留区域相对应。
在看到那道神秘的“喷射”光之后,我立即大声向我的妻子喊,当然也没有中断我的观察。我告诉她来看看那个奇怪的‘东西’。可是她大声回答说,唉,她困得厉害,所以我应该让她继续睡下去。所以我独自呆在那里,看着那个“东西”。它看起来仍然像一个发光的圆盘。大约过了五分钟左右,那束光慢慢地离开了它原来所在的地方,无声无息地一直往上爬,越过了阿维亚诺附近的山脉。
神秘物体离开基地大约十秒钟后,基地的灯光又亮了起来。我还必须补充一点,我的狗只在发光的“圆盘”离开后才停止吠叫。最后,我必须承认,这件事让我很不安。因此,我没有立即回去睡觉,所以,大约半小时后,我能够注意到美国军事警察车辆的移动。
空中阅兵出现的不明飞行物
尽管对于1977年的事件,官方做出了月亮照射云层的解释,但从像曼弗尔先生这样的目击者证词来看,6月30日到7月1日的那个夜晚,阿维亚诺的空军基地的确发生了UFO目击事件。可惜的是,除了证人的证词之外,并没有留下任何其他的证据。然而在这个事件发生近10年后,在1996年7月7日,在维亚诺的空军基地的一场空中阅兵中,不明飞行物再次出现,并被拍摄了下来。
照片前景局部
照片远景局部
这张照片是维琴察北约基地的一名(意大利)官员在1996年7月7日阿维亚诺空中阅兵期间拍摄的。他本人是一位飞机爱好者,只是出于工作原因不想公开自己的名字。他说当他拍摄这张照片时,除了静止在跑道上的飞机(前景)和飞行中的F117“夜鹰”外,他没有注意到其他任何东西。然而当他将照片冲洗出来后,他大吃一惊。
照片上的天空中出现了若干个神秘物体:远处飞行的F117后面似乎有两个不明物体在跟随;而在近景的飞机背景天空中,则出现了一个圆盘状飞行物。拍摄这看到照片后很惊讶,最初他认为这是底片的问题。然而照相馆告诉他胶片没有出现任何缺陷,这些物体就是当时记录下来的。
但这位官员仍然不相信,所以他决定带着照片去附近维琴察“埃德勒”军营的摄影实验室。最后美国摄影专家给了他的解释是:“它们一定是海鸥......”
肉眼捕捉不到的飞行物
在当地媒体披露了这张照片后,一位年轻的航空爱好者沃尔特·皮拉特立即去查看了同一天他拍摄的影象。在检查慢动作图像时,他注意到在F117附近的确出现了两个物体,并且它们的移动速度非常快。

另一位航空爱好者卢西亚诺·波莱托当时也在现场进行了拍摄。在以慢动作观看用摄像机拍摄的影像时,他在F117附近观察到了同样的两个“东西”。与皮拉特的影片相似,要看到这些不明物体,必须放慢播放速度才能看到。这意味着它们是两个以非常高的速度行进的“东西”,以至于逃避了人类的正常视觉观察。考虑到这两个所谓的不明飞行物的速度,可以排除当时这架F117附近存在“传统”飞机的可能性。
阿维亚诺空军基地到底有何与众不同的地方?是隐藏的某些秘密飞行器引起了外星人的关注还是有别的原因呢?有传闻称,在距离阿维亚诺空军基地不远的意大利波代诺内省,有一个外星人的秘密地下基地,准确的说是两个基地。它们是在美军(北约)来到这里建造基地之前就存在的,彼此相距几公里,隐藏在一片小树林之中。著名的UFO研究者丘米恩托曾对这个传闻进行了调查,并声称拿到了一些证据。那么这个外星基地真的存在吗?一切可能都需要时间来解答。
更多文章合集
UFO与外星人未解之谜安德里森事件远古核战争麦田怪圈埃德加·凯西
外星灰人“瘦鲍勃”视频详细分析
到顶部