继续操作前请注册或者登录。

每日中草药:苍耳子



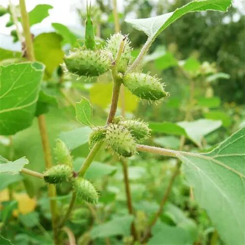
苍耳子是一种颗粒状物质,它表面有很多刺儿,在自然界中,人们接触到它时就会粘在衣服和头发上,特别烦人,但这种苍耳子也可以入药,它的药用功效特别出色,不过人们在平时生活中也听说过苍耳草,就特别想知道苍耳子和苍耳草之间有什么不同,今天就带大家去了解这方面的知识,同时也会让大家对苍耳子的功效多一些了解。

苍耳子和苍耳草的区别
1、苍耳子和苍耳草之间没有明显区别,因为他们来源于同一种植物苍耳,苍耳草是人们对植物苍耳全株的一种叫法,而苍耳子则是植物苍耳的果实,这是两者之间最大的不同之处。
2、苍耳子和苍耳,草东石常用中药材,它们的外观有十分明显的区别,苍耳子是一种椭圆形的颗粒状存在,表面有大量的小刺存在,而苍耳草则是指苍耳叶子茎以及果实等多个部分综合体。
苍耳子的功效
1、通窍止痛
通窍止痛是苍耳子的重要功效,它对人类的鼻渊头痛,何时流鼻涕,以及风寒头痛等症,都有十分明显的治疗作用,特别是人们出现外感风寒,恶寒无汗时,可以把苍耳子与芳芳以及白芷等中药材搭配在一起煎汤服用,能取得特别好的治疗效果。
2、祛风除湿
祛风除湿,通络止痛,也是中药苍耳子的重要功效,平时人们出现风湿骨痛和四肢麻木,以及关节疼痛时,都能直接用查儿子来治疗,在治疗的时候可以把它与地服子和白藓皮等中药材,搭配在一起服用。另外,人们出现风疹和皮肤搔痒时,也可以用苍耳子来治疗,它能祛风止痛,也能止痛止痒。
3、抗菌消炎
消炎抗病毒也是苍耳子入药以后的主要功效,它不但能抑制人体对革兰氏阴性菌的活性,还能阻止金黄色葡萄球菌和乙型链球菌以及肺炎球菌在人体内滋生繁殖,人们适量服用以后,能阻止身体内炎症发生,也能让人体内的炎症尽快消退。
苍耳子苦,疥癣疮毒,驱风湿痹,瘙痒堪尝
为菊科一年生草本植物苍耳的果实。分布全国各地,主产于江西、山东、湖北、江苏。秋季采收,晒干。炒去硬刺用。
性味归经:味辛、苦,性温。有小毒。归肺经。
发汗解表,散风祛湿,通鼻窍。用于头风鼻渊,时流浊涕,风湿痹痛,疮疡肿毒,风疹癣疥。
用量用法:13~9g。
临床应用本品辛散温通,苦温除湿,长于散风除湿通窍,为风寒头痛、痹痛、鼻渊所常用。
《民间验方1》腮腺炎
苍耳子、双花、板蓝根、防风各10g。水煎服。
《民间验方2》慢性副鼻窦炎
苍耳子蜜丸,每丸3g,每次1~2丸;或苍耳子片每片1.5g,每次2片,每日3次,连服两周。或以苍耳子配伍辛夷、金银花菊花、茜草等制成流浸膏服用
《民间验方3》神经性皮炎
苍耳子15~24g,防风9~12g,乌梢蛇、当归、白芍、白蒺藜各9~15g,丹皮9g,温水浸泡1小时,文火煮沸后再煎30分钟,连煎2~3次,取汁350~400ml,分3次口服,每日1剂。
《民间验方4》临床研究表明,用苍耳子水煎液治疗食积、脾胃虚弱泄泻、胃寒腹痛有一定疗效。《实用中医药杂志》
《民间验方5》慢性鼻炎
1取苍耳子30~40个,轻轻捶破,放入小铝杯中,加麻油30g,文火煎开,去苍耳,冷后以棉签沾油少许,涂于鼻腔,日2~3次2周一疗程。《新医学》
2复方苍耳油(1000ml小麻油,温热后加入打碎苍耳子160g、辛夷16g,浸泡24小时,再用文火煎至800ml左右,冷却后过滤即成)滴鼻,日3~4次,7天1月一疗程,一般2~3疗程。《中西医药杂志》
《民间验方6》下肢溃疡
用苍耳子治疗下肢溃疡,效果较好。治疗方法:将苍耳子60~120g炒黄研为细末,生猪板油120~180g,共捣如糊状。使用时,先用石灰水(石灰500g,加开水4000ml冲泡,静置1小时吸取上清液)清净创面,揩干后涂上药膏,外用绷带包扎。冬季5~7天,夏季3天便換敷料
《民间验方7》痢疾
将鲜苍耳子90g,洗净捣烂,加水煎15分钟去渣,打入鸡蛋2~3个于药液中煮熟。于痢疾发作前将蛋与药液1次服下。如1次未愈,可按上法再服。一般2~3天可愈
《民间验方8》牙痛
将苍耳子7g焙黄去壳,研为细末,与鸡蛋1个和匀,不放油盐妙熟食之每天1次连服了剂。治疗结果,用上药治疗顽固性牙痛患者56例,其中包括龋齿、牙周炎、牙髓炎、急性牙周脓种,除2例无效外,其余的均1次止痛,服3剂痊愈
《民间验方9》面神经炎(面瘫)
苍耳子6~12g,辛夷9~12g,薄荷3~15g。每天1剂,水煎服。并视兼其性质加味。随机应变
10.带状疱疹
苍耳子30g(土炒黄研末),冰片2g,香油调成糊状抹患处,每天2次。
小编非杏林中人,所有药方来源网络,仅供参考。愿世间无病!
图文来源网络,版权归原作者所有,如有侵权,请及时联系我们删除!
到顶部