你所不知道的河南“洛阳”!


公元605年,大业元年,杨广开始了他的宏图大业,第一个大手笔,开挖壕埑、重建东都洛阳、开通大运河。

壕堑从蒲州龙门县(今山西省河津县)经长平郡(治今山西省晋城县)东北,东接汲郡(治今河南省浚县西),从临清关(在今河南省新乡县)南跨黄河,经过浚仪(今河南省开封市)、襄城郡(治今河南省汝州市),抵达上洛郡(治今陕西省商县),沿途设立关卡。
长安大兴城是隋文帝时期所建,是新城,为什么要重建洛阳城。
野史说,有一叫章仇太翼的道士给杨广说:长安在西,西主金,金克木,而洛阳位东,东属木,万物生长,陛下是“木”命,长安是“破木”的地形,建议重建洛阳东都。于是,杨广下令重建东都洛阳。
真相当然不是这样。
从政治上说,关中地区的长安地理位置偏西,建立东都洛阳,可以加强对东部、南部地区的控制;从经济上说,当时长安人口多,而主要是朝廷中的官员、贵族和军队较多,这些人不生产不劳作,粮食供给需求大,遇灾年供不应求。而洛阳地处中原,交通便利,可以成为水陆运输、储存、转运粮食的中心,开通运河,可以降低物资的转运成本。这也是将经济中心南移的策略;
从文化上说,洛阳与江南近,重建洛阳有助于南北文化的交流。

从军事上说,洛阳地处中原,地势险要,四面环山,邙山、崤山、熊耳山、外方山、箕山、嵩山组成天然防御地形,外加北面的黄河天险,地势更加险要。只要在群山相交的交通孔道设关立卡,就可使易守难攻。有名的就有函谷关、虎牢关、孟津关等关口可直接屯兵,盆地中有伊、洛平原宜与耕种。
这其中有个故事,公元594年八月,由于关中地区大旱,隋文帝只好率关中的官员、百姓到洛阳“就食”,说准确点就是“要饭”。遇到灾事,地狭人多的关中平原已不能解决庞大的王朝官僚机构和军队的吃饭问题。两京制可以分割一部分吃皇粮的机构在洛阳。
当时,南方的粮食产量可观,修大运河便于将南粮北调。
运河为什么不能修到关中,因为黄河的三门峡段水流湍急,河道中有一块被称为“中流砥柱”的巨礁,经常造成船毁人亡。运输成本过大。

《都论》中建都的条件:一是地形险固,二是漕运便利,三是居中应四方。这三个条件洛阳都具备。洛阳几度废弃、重建,依靠天下之中的独特地理优势,采取长安、洛阳两京制具有长远的战略眼光。这才是重建洛阳的真实原因。
洛阳重建的总设计师是宇文恺。按隋皇杨广的要求,他将洛阳城的修建与大运河同步进行规划。两项工程先入投入民伕300万。
宇文恺设计长安大兴城采用的是“乾”卦的思路,而洛阳城则采用“天人合一”的设计理念,巧妙地将都城规划与天上星辰相对应,实现人造建筑与自然形胜的完美融合。
宇文恺设计轴线北端为邙山翠云峰,南端为龙门伊阙。轴线上分布着天阙(即龙门伊阙)、天街、天门(应天门)、天津(天津桥)、天枢、天宫(明堂)、天堂,以“天上七星,地上七天”为理念的“七天”建筑。
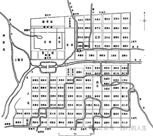
北魏时期的洛阳城早已毁于战乱,新建的隋洛阳城分宫城、皇城和外城,城开八门。位于伊水正支,外城周长73里150步,东越湹河、南对伊阙、西临涧河、北依邙山。洛河从城中穿过,形成了“河山拱戴,形势甲于天下”的地理优势。
宫城位于西北隅,意味着天子宫阙位于天上的紫微垣;皇城位于宫城之南,象征着天上的太微垣;外郭城位于皇城和宫城的东、西、南三面,应对着28星宿。

中轴线北起邙山翠云峰,穿过宫城和皇城,南至龙门伊阙。这条中轴线将两侧建筑和景观串联起来,如同天空中的银河系。
官城东西5里200步,南北7里。南临洛川,开大道,对端门,宽百步,道旁种植樱桃石榴。端门至建国门,南北9里,中为御道,通泉流渠。城南街道整齐划一。民坊为正方形,边长4里,里开4门,临大街为两层,红粉涂墙。大街小陌,纵横相对。整个城市被洛河分为洛南96坊区和洛北36坊区,此外还有东丰都、南大同、北通远3个集市……
天街位于城市的中轴线上,连通了洛河两岸。天街的北端是皇城的南门端门,端门之后是皇城,皇城的北边是宫城,也称为紫微城,相当于洛阳城的皇宫。皇宫的正南门是应天门,应天门后边是一座大殿叫乾阳殿,宏伟高大……东南、西南各有两层的钟楼和鼓楼。皇城的西南区域是上阳宫,皇宫的东北区域还有一座含嘉仓城,这里是一个巨大的存粮基地。此外在邙山还开挖洛口仓3000窖,每窖可存粮8000石。在洛阳北设置回洛仓,300窖,做为仓储基地。

洛河从城中穿,形成了“水在城中流,城在水中建”的格局;河宽40步,两侧修筑御道,种植杨柳。城内还有人工水系及景观水池,起到了调节气候、灌溉作物之用。
隋洛阳城用了530年之久,直至北宋。是中国古代沿用时间最长的都城,也是中国古代城市规划和建筑技艺的巅峰。但这座城的修建只用了一年便顺利完工。
这期间,东部利用降服的突厥启民可汗率军攻击入侵的契丹,大胜,南面征服林邑王国。设比景、海阴、林邑三郡(今越南一带)。
(本文为《西域四百年3:盛唐的背影》片段)
到顶部